[Home:Etappe3]  


Bauvortschritte Haltestelle Zentrum Glatt.

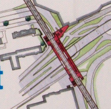
Ausschnitt der Infotafel bei der Haltestelle Zentrum Glatt. Im Gegensatz zu der früheren Planung wurde die Linienführung für die Haltestelle nun gestreckt. Alte Grafik in der grossen Version


Aktueller Baustand (Bildgalerie Zentrum Glatt)
10.09.2010 Unterhalb der Haltestelle sin die Arbeiten praktisch fertig gestellt. Es fehlen noch Detailarbeiten. (Grössere Bilder sind auch in der Bildgalerie zu finden.)
26.07.2010 Die Haltestelle vom Glattzentrum aus. Links ist der Lift für den Zugang. Der Personenzugang zum Glattzentrum wird mit einem Dach geschützt. (Grössere Bilder sind auch in der Bildgalerie zu finden.)
17.06.2010 Die Haltestelleninstallation wurde zu einem grossen Teil erstellt. (Grössere Bilder sind auch in der Bildgalerie zu finden.)
09.06.2010 Aufbau der Haltestelleninstallation von der Strasse aus. (Grössere Bilder sind auch in der Bildgalerie zu finden.)
27.05.2010 Der Haltestellenübergang in Richtung Glattzentrum ist fertig gestellt. Am Entstehen ist der Liftturm. Das Glattzentrum selber baut den Eingangsbereich um. Die Gleise im Haltestellenbereich sind verlegt. (Grössere Bilder sind auch in der Bildgalerie zu finden.)
29.03.2010 Die Prägung der Haltestelle auf der Seite des Glattzentrum im Abendlicht. (Grössere Bilder sind auch in der Bildgalerie zu finden.)
13.03.2010 Im Bereich der Haltestelle stehen bereits erste Haltestellenelemente. (Grössere Bilder sind auch in der Bildgalerie zu finden.)
13.03.2010 Von der Haltestelle in Richtung Glattzentrum entsteht eine Überführung mit Lifterschliessung. (Grössere Bilder sind auch in der Bildgalerie zu finden.)
07.11.2009 Die Haltestelle über der Neue-Winterthurer-Strasse. (Grössere Bilder sind auch in der Bildgalerie zu finden.)
07.11.2009 Der Haltestellenbereich steht nun ohne Gerüst da. Die Haltestellenkanten sind erstellt. (Grössere Bilder sind auch in der Bildgalerie zu finden.)
24.10.2009 Öffentliche Brückenbegehung als Brückenschlag. Im Bereich der Haltestelle zwar der Treffpunkt der Gemeindevertreter von Dübendorf und Wallisellen. (Grössere Bilder sind auch in der Bildgalerie zu finden.)
01.09.2009 Das Gerüst für den Unterteil der Brücke steht noch. (Grössere Bilder sind auch in der Bildgalerie zu finden.)
29.06.2009 Die Brücke ist nun von dem Seitengerüst befreit. Die Prägung ist nun sichtbar. (Grössere Bilder sind auch in der Bildgalerie zu finden.)
17.06.2009 Die Aussenwände der Haltestelle sind erstellt. Die Gerüste werden bereits entfernt. (Grössere Bilder sind auch in der Bildgalerie zu finden.)
13.05.2009 Der Unterbau der Haltestelle ist erstellt. (Grössere Bilder sind auch in der Bildgalerie zu finden.)
06.05.2009 Betonarbeiten mit der Pumpe. (Grössere Bilder sind auch in der Bildgalerie zu finden.)
20.04.2009 Die Haltestelle über der Neue-Winterthurer-Strasse. (Grössere Bilder sind auch in der Bildgalerie zu finden.)
29.03.2009 Im Bereich der Haltestelle kommt eine Beschriftung für das Baujahr als Prägung in den Beton. (Grössere Bilder sind auch in der Bildgalerie zu finden.)
14.03.2009 Das Rohgerüst für die Haltestelle auf der Seite Conforama ist nun erstellt. Es fehlt aber noch der Teil auf der Seite Glattzentrum. (Grössere Bilder sind auch in der Bildgalerie zu finden.)
26.02.2009 Die Stützen für die Haltestelle sind erstellt. Das Trägergerüst für das Baugerüst des Haltestellenbereich ist nun erstellt. (Grössere Bilder sind auch in der Bildgalerie zu finden.)
21.02.2009 Die Stützen für die Haltestelle sind erstellt. Das Trägergerüst für das Baugerüst des Haltestellenbereich ist nun erstellt. (Grössere Bilder sind auch in der Bildgalerie zu finden.)
22.09.2008 Bereich der zukünftigen Haltestelle in Richtung Bahnhof Wallisellen. (Grössere Bilder sind auch in der Bildgalerie zu finden.)
29.08.2008 Der zukünftige Haltestellenbereich vom Dach des Glattzentrum. (Grössere Bilder sind auch in der Bildgalerie zu finden.)
10.08.2008 Unterdessen ist die erste Baustelleninstallation sichtbar. (Grössere Bilder sind auch in der Bildgalerie zu finden.)
02.04.2003 Standort der zukünftigen Haltestelle. (Grössere Bilder sind auch in der Bildgalerie zu finden.)